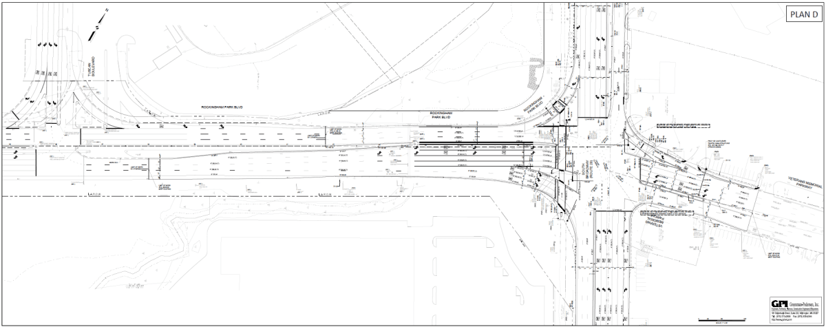
Rockingham Park Boulevard & Route 28 Intersection Project (Completed)

Rockingham Park Boulevard

Rockingham Park Boulevard and Route 28 Intersection (Node 10)

The major components of this intersection improvement project include road widening, new traffic signals and reconfiguration of the intersection for additional traffic lanes. The improvement plans have been approved by the Town of Salem BOS and NHDOT. Associated with this project is an NHDOT project that removes and replaces the overhead sign bridge on Rockingham Park Boulevard. Funding for these projects is a combination of NHDOT and Tuscan Development. The project was approved by the Board of Selectmen on May 3, 2021. Final design plans were approved by the NHDOT on June 6, 2022. Construction is scheduled to be completed in Fall 2024.

Work Includes:

Project Engineer: GPI

Contractor: Continental Paving, Inc.

Funding: Private - Tuscan Village